
大家好,这里是楼花网。
年底压轴地块,通州供地持续。
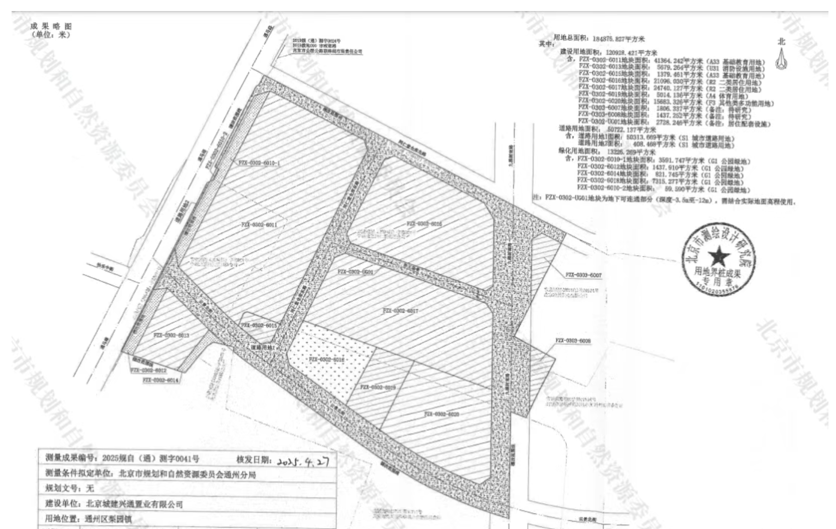
近日,北京年底土拍再加一宗重磅地块——通州九棵树南地块FZX-0302-6017地块R2二类居住用地正式挂牌,核心指标清晰:
- 起拍价12.36亿,地上建面5.44万㎡,楼面价约2.27万/㎡
- 容积率2.2,限高45米(局部60米),预计规划洋房+小高层产品
- 500+套房源(按套均100㎡估算),主打刚改、改善客群
- 竞价截止:11月27日15:00,能否掀起争抢尚未可知

一、地段价值:地铁+老城配套,成熟生活区
- 交通便利:距地铁1号线八通线九棵树站约1公里,通勤优势明显
- 配套成熟:领展广场、中医药大学东直门医院、云景公园环伺,生活气息浓厚
- 历史背景:原为北京同仁堂仓库(50年历史),2024年4月完成拆迁,城市更新提速

二、规划亮点:低密+围合院落,产品力可期
根据规划要求,项目需满足多项品质提升条款:
- 院落布局:鼓励围合式院落设计,提升社区内部环境
- 建筑风格:现代简约风,坡屋顶协调,立面采用灰砖、木材等质感材料
- 错层设计:大面积单元需做错层处理,避免“盒子楼”呆板形象
- 能源配套:需配建分布式能源站、开闭站等基础设施

三、区域前景:通州新盘扎堆,九棵树能否突围?
- 竞品环伺:
- 八里桥招商朝棠揽阅、梨园中铁建花语璟云、土桥金隅花溪云锦等同期在售
- 运河商务区中建运河玖院近期网签强势,形成分流压力
- 差异化机会:
- 九棵树板块老城生活氛围成熟,地铁优势突出
- 低容积率+限高条件,有望打造通州稀缺洋房产品

四、市场预测:机遇与挑战并存
- 机遇:
- 通州新房市场热度回升,改善需求持续释放
- 地块素质优良,具备打造区域标杆盘潜力
- 挑战:
- 房企拿地仍趋谨慎,底价成交概率较大
- 需平衡产品品质与成本控制,定价策略成关键

总结:
九棵树地块是通州老城稀缺的住宅供应,其低密属性+地铁优势具备爆款潜质。
但能否真正“预定C位”,还需看房企的产品打造能力和市场定价策略。
对于通州地缘改善客群,这个项目值得保持关注!

上一篇:朝阳豪宅“双子”对决!紫京宸园VS璞樾,70:69谁赢了?
下一篇:电建地产门头沟新盘:未通告反馈意见,提前领规划证
温馨提示:提示:本内容为楼花网作品,未经允许不得转载。邮箱:louhuar@163.com